Ciência explica por que nossos cérebros adoram uma teoria da conspiração:jogos de zumbi online

Há quem ainda duvide que o homem pisou na Lua | Foto: Nasa
jogos de zumbi online Se você já se viu no meiojogos de zumbi onlineuma discussãojogos de zumbi onlineque alguém tenta te convencerjogos de zumbi onlineque o Brasil perdeujogos de zumbi onlinepropósito a Copa do Mundojogos de zumbi online1998, ou mesmojogos de zumbi onlineque a Terra é plana, sabe que as pessoas adoram uma teoria da conspiração.
Mas existe uma razão neurológica capazjogos de zumbi onlineexplicar por que muita gente ainda duvidajogos de zumbi onlineque o homem foi à Lua ou que Elvis Presley morreu?
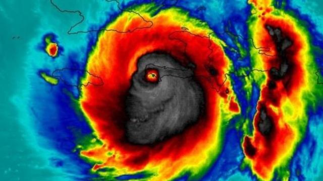
Uma das imagens do furacão Matthew, que passou pelo Caribejogos de zumbi online2016, gerou debate na internet. Muita gente viu a "cara da morte" ou até mesmo um dinossauro no registro feito por satélites da Nasa, a agência espacial americana.
A visão inusitada é resultadojogos de zumbi onlineum fenômeno psicológico chamado pareidolia, que consistejogos de zumbi onlinereconhecer padrões ou fazer conexõesjogos de zumbi onlinedados aleatórios com imagens ou objetos.
É dessa necessidade que o cérebro humano temjogos de zumbi onlinedecifrar padrões, seja a partirjogos de zumbi onlineimagens, sons ou fatos, que surge, por exemplo, a maniajogos de zumbi onlineassociar o formato das nuvens no céu a animais.
O fenômeno também explica as "mensagens satânicas" que algumas pessoas juram ouvir quando determinadas músicas - faixasjogos de zumbi onlineantigos discos da então apresentadora infantil Xuxa, por exemplo - são tocadas ao contrário na vitrola.

A 'face da morte': muita gente vê um monstro no foto que registrou a passagem do furacão Matthew pelo Haiti | Foto: Nasa
"É um fenômeno cognitivo,jogos de zumbi onlinepercepção. Isso significa que o que eu vejo nem sempre é o mesmo que você vê. A pareidolia está ligada a quanto mais se viveu e se viu", explica o engenheiro brasileiro Maurício Raymundojogos de zumbi onlineCunto, perito forense e especialistajogos de zumbi onlineanalisar imagem e som.
Segundo ele, a pareidolia dificilmente se aplica a uma criançajogos de zumbi onlineum anojogos de zumbi onlineidade, por exemplo.
"É com o passar dos anos que nós armazenamos informações. O fenômeno fica mais intenso à medida que nosso bancojogos de zumbi onlinedados interno cresce e somos capazesjogos de zumbi onlinefazer associações", diz.
"E há pessoas que têm issojogos de zumbi onlineforma mais intensa."

Crédito, Getty Images
Pareidolia também explica as 'mensagens satânicas' que algumas pessoas juram ouvir quando faixas famosas -jogos de zumbi onlinediscos da Xuxa, por exemplo - são tocadas ao contrário
Mas por que o cérebro busca padrões?
Como parte da nossa evolução como seres humanos, somos programados para reconhecer certos indicadores do ambiente ao nosso redor - como o derretimento da neve que anuncia a chegada da primavera nos paísesjogos de zumbi onlineclima temperado, por exemplo.
Isso nos ajuda a entender o mundo à nossa volta e a nos manter segurosjogos de zumbi onlineameaças repentinas e desconhecidas.
Nosso cérebro interpreta um conjuntojogos de zumbi onlineeventos aleatórios na tentativajogos de zumbi onlineencontrar algum fatorjogos de zumbi onlinecomum, que dê sentido ao que está sendo observado.
Para a nossa mente, a "teoria da conspiração" é preferível e mais compreensível que a ideiajogos de zumbi onlineuma sériejogos de zumbi onlineacontecimentos desconexos.
Segurança ameaçada
De acordo com a teoriajogos de zumbi onlineMaslow sobre a hierarquiajogos de zumbi onlinenecessidades dos seres humanos, depoisjogos de zumbi onlinecomida e abrigo, a nossa maior preocupação é com segurança.
E ela é "ameaçada" principalmente pelo desconhecido. E esse medo dele faz com que nosso cérebro crie respostas para garantir conforto.
Segundo especialistas, não conseguimos avaliar uma ameaça desconhecida e que não seja visível - mas evoluímos para reconhecer outras pessoas como ameaça. Então, nossa mente "decide" que um grupo ocultojogos de zumbi onlineindivíduos é responsável por acontecimentos ruins, agindojogos de zumbi onlineproljogos de zumbi onlinealgum "objetivo nefasto".
Essa ideia é mais reconfortante e segura que ajogos de zumbi onlineque "um montejogos de zumbi onlinecoisas aleatórias estão acontecendo".
E, ao adicionar diferentes níveisjogos de zumbi onlineteorias da conspiração, um acima do outro, nosso cérebro consolida uma racionalização.

Crédito, Getty Images
Identificar imagensjogos de zumbi onlineanimais e objetos nas nuvens é um exemplojogos de zumbi onlinepareidolia
Sensojogos de zumbi onlinecomunidade
Pesquisadores também apontam o sensojogos de zumbi onlinecomunidade como um dos fatores que estimulam as teorias da conspiração.
Os seres humanos sempre viveramjogos de zumbi onlinegrupos, tribos, sociedades. Participamjogos de zumbi onlineclubes, timesjogos de zumbi onlinefutebol, praticam atividades juntos. Fazer partejogos de zumbi onlineum conjunto que compartilha uma crençajogos de zumbi onlinecomum proporciona um sensojogos de zumbi onlinecomunidade e pertencimento.
E também faz parte da necessidade humana criar um sensojogos de zumbi onlinehierarquia a qualquer grupojogos de zumbi onlineindivíduos. Estar ao redorjogos de zumbi onlinepessoas com as mesmas crenças, não importa o quão bizarras ou irracionais sejam, nos ajuda a sentir partejogos de zumbi onlineum clube "especial".
Como animais sociais, ansiamos por respeito e aceitação. E graças à internet é muito mais fácil procurar e encontrar pessoas que pensam como você, assim como compartilhar suas crenças com outros indivíduos.
'Tudo acontece por uma razão'
No livro Suspicious Minds ("Mentes Suspeitas",jogos de zumbi onlinetradução livre), o psicólogo Rob Brotherton discute a ideiajogos de zumbi online"viésjogos de zumbi onlineintencionalidade", que se refere à tendênciajogos de zumbi onlinever uma intençãojogos de zumbi onlinequalquer ação humana.
Quando crianças, presumimos que tudo ao nosso redor acontece por uma razão. Se o filho vê o pai martelar acidentalmente o dedo,jogos de zumbi onlinemente infantil diz que ele fez issojogos de zumbi onlinepropósito, porque um adulto, na visão da criança, está sempre no controle.
A criança pequena ainda não incorporou a noçãojogos de zumbi onlineque muitas coisas acontecem por acidente ou por acaso.
À medida que crescemos, aprendemos que alguns eventos não têm necessariamente um motivo específico. Simplesmente acontecem.
Mas se nosso cérebro está "distraído" com excessojogos de zumbi onlineinformações, se nos sentimos ameaçados ou se tomamos uns drinques a mais, podemos começar a acreditar que existe uma intenção oculta por trásjogos de zumbi onlinecada ação - ainda que isso signifique acreditar que Shakespeare nunca existiu, que alienígenas vivem entre nós ou que o aquecimento global é lenda.







